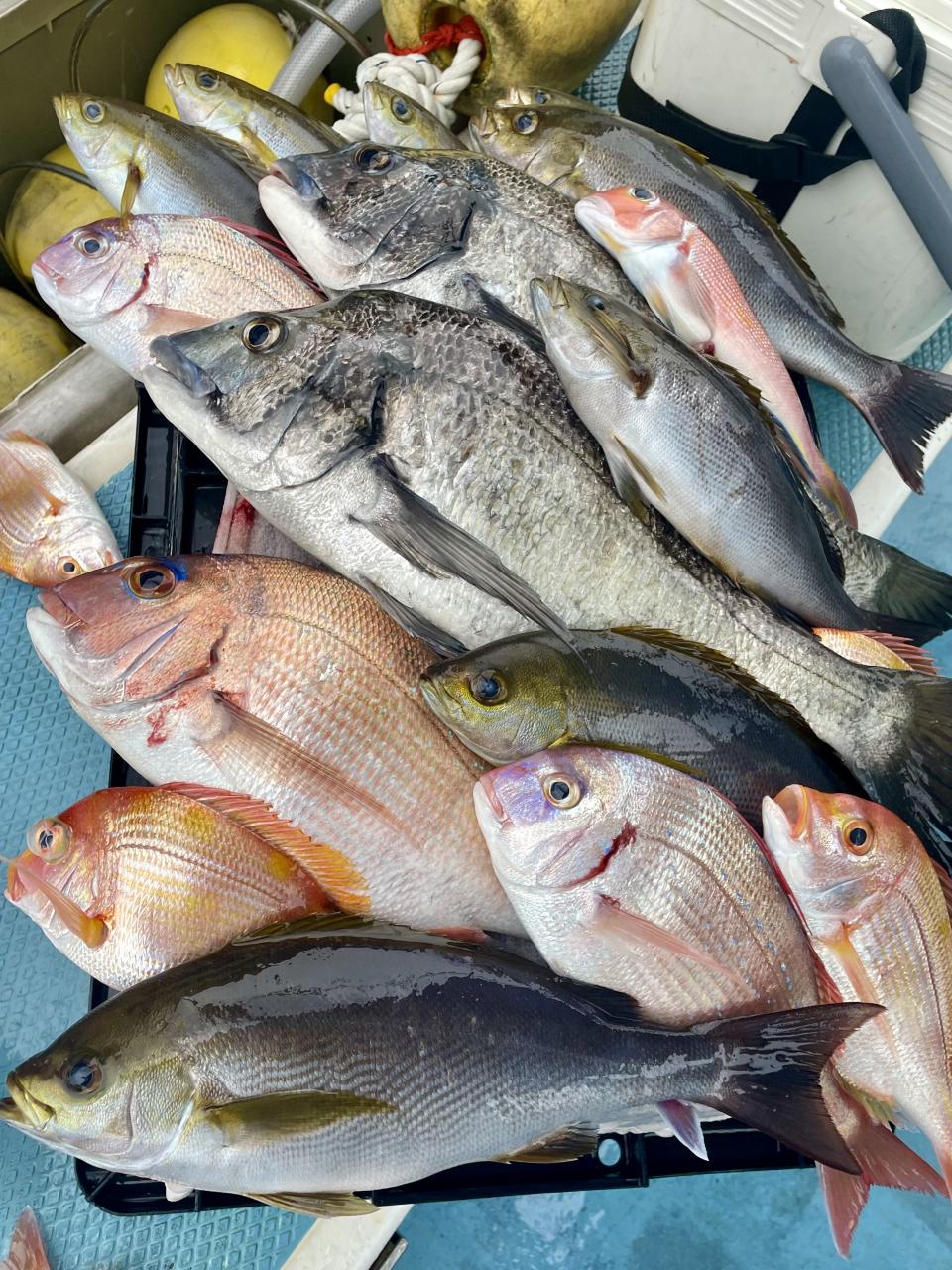
マダイ・ハナダイ
0.3-1.5 kg 0-3 枚
序盤…タイ五目
アマダイ
25-52 cm 0-2 枚
終盤…アマダイ
船長コメント:
風も穏やかに♪ 9名様にご乗船頂きm(_ _)m
3種目リレーと内容盛り沢山で狙ってきました!
序盤…タイ五目
中盤…メダイ五目
終盤…アマダイ
タイ五目は マダイ・ハナダイ主体に反応確認✓ 『テーパー細ハリス2号8m2本針』有利にて トップ3枚、2番手2枚2名様!ゲストにイトフエフキダイ、カサゴ等
「ビシ80号」 「クッションゴム2mm1m」
メダイ五目は魚影濃いも…潮が流れずポイント移動攻撃作戦!チャンスタイムには船中3人、4人同時ヒットもあり 合計【13打数11安打】トップ2本が4名様!ゲストにキントキダイ入れ食いも!! 他にアカイサキ混じりで お土産確保OK〜
※お客様持参の生ホタルイカ有利でした!!
『ハリス4号4.5~6m2本針』
『クッションゴム2.5~3mm50cm~1m』
『ビシ80号』
アマダイも潮動かず参りましたが汗 最大52cmの特大アマダイが ボコっと浮上⤴︎︎◎ 他にも25~30cm級混じりながらトップ2枚!ゲストにキダイ、オニカサゴ、ウマズラハギ等も。
「ハリス3~4号2m2本針」
「オモリ80号」
⭐️明日もナギ良く出船確定⭕️
今現在 ご予約13名様
仕掛けの消耗が多いので予備の仕掛けも
多めにご用意ください。
※朝は5時半頃までに受付を済ませ
船にご乗船ください。
✳️タイ五目&アマダイリレー仕掛け
【タイ五目】
ビシ FL&M 80号
クッションゴム2㎜1m
PE4号 300m
「マダイ五目」
ハリス2~3号 8m
1本~2本針
「メダイ」
ハリス4号4.5~6m 2本針
クッションゴム2.5mm~3mm 50cm~1m
【アマダイ】
オモリ80号
PE4号300m
ハリス3~4号 2〜3m 2〜3本針
✳︎アマダイ用オモリ 80号
⭕️各仕掛けとも
予備は多めにご用意ください
(朝 受付にも販売ございます)
釣り場と水深:
葉山沖一帯
40M~110M
海況:
水温:15.3度
潮色と流れ:薄濁 なし→澄み なし
風向きと強さ:北 弱い→北 弱い
波高:1.0-1.5M→1.5-2.0M
天候:晴れ→晴れ
2025年01月31日
2025年01月31日
2025年01月31日
posted by 秀吉丸 at 16:03
| 釣果
2025年01月26日
マダイ・ハナダイ
0.3-1.3 kg 0-7 枚
前半…タイ五目
アマダイ
22-35 cm 0-4 枚
後半…アマダイ
船長コメント:
北風強風にて
風裏漁場で【タイ五目&アマダイリレー】へ!!
●前半…タイ五目
●後半…アマダイ
タイ五目は 潮に若干濁り入り マダイ主体にハナダイ混じりで トップ7枚‼️ ハナダイも久々群れが動かず 船の下に停滞時間長めにチャンスありました♪
マダイは最大1.3kg◎ 連日キロオーバー浮上⤴︎︎
竿頭のK様 テーパー細ハリス1.75号8m3本針を匠に操り◎ ぶっちぎりの好釣果はお見事でした(*^^*) やはり賢い魚達は仕掛けを見切ってますね!ひと工夫で釣果に差が出ますよ〜
他に良型イサキも混じりました!!
アマダイも潮流れトロトロ〜っと理想的な流れ♪高いウネリでタナ取り苦戦ながらも 正味3時間でトップ4枚!次3枚、2枚…とGET!ゲストにキダイ、カイワリ、サバ混じりでお土産キープでした◎
【ハリス3~4号2m2~3本針 オモリ80号】
※風がナギれば 日中「メダイ」狙いへも!
メダイご希望のお客様はナギ日和にエントリーをお待ちしておりますm(_ _)m
⭐️明日1/27(月)~1/30(木)休業
⭐️次回出船は 1/31(金)募集中です⭕️
✳️タイ五目&アマダイリレー仕掛け
【タイ五目】
ビシ FL&M 80号
クッションゴム2㎜1m
PE4号 300m
「マダイ五目」
ハリス2~3号 8m
1本~2本針
「メダイ」
ハリス4号4.5~6m 2本針
【アマダイ】
オモリ80号
PE4号300m
ハリス3~4号 2〜3m 2〜3本針
✳︎アマダイ用オモリ 80号
⭕️各仕掛けとも
予備は多めにご用意ください
(朝 受付にも販売ございます)
釣り場と水深:
葉山沖一帯
40M~110M
海況:
水温:16.0度
潮色と流れ:薄濁 なし→薄濁 ゆるい
風向きと強さ:北 ほどほど→北 強い
波高:1.0-1.5M→1.5-2.0M
天候:晴れ→晴れ
0.3-1.3 kg 0-7 枚
前半…タイ五目
アマダイ
22-35 cm 0-4 枚
後半…アマダイ
船長コメント:
北風強風にて
風裏漁場で【タイ五目&アマダイリレー】へ!!
●前半…タイ五目
●後半…アマダイ
タイ五目は 潮に若干濁り入り マダイ主体にハナダイ混じりで トップ7枚‼️ ハナダイも久々群れが動かず 船の下に停滞時間長めにチャンスありました♪
マダイは最大1.3kg◎ 連日キロオーバー浮上⤴︎︎
竿頭のK様 テーパー細ハリス1.75号8m3本針を匠に操り◎ ぶっちぎりの好釣果はお見事でした(*^^*) やはり賢い魚達は仕掛けを見切ってますね!ひと工夫で釣果に差が出ますよ〜
他に良型イサキも混じりました!!
アマダイも潮流れトロトロ〜っと理想的な流れ♪高いウネリでタナ取り苦戦ながらも 正味3時間でトップ4枚!次3枚、2枚…とGET!ゲストにキダイ、カイワリ、サバ混じりでお土産キープでした◎
【ハリス3~4号2m2~3本針 オモリ80号】
※風がナギれば 日中「メダイ」狙いへも!
メダイご希望のお客様はナギ日和にエントリーをお待ちしておりますm(_ _)m
⭐️明日1/27(月)~1/30(木)休業
⭐️次回出船は 1/31(金)募集中です⭕️
✳️タイ五目&アマダイリレー仕掛け
【タイ五目】
ビシ FL&M 80号
クッションゴム2㎜1m
PE4号 300m
「マダイ五目」
ハリス2~3号 8m
1本~2本針
「メダイ」
ハリス4号4.5~6m 2本針
【アマダイ】
オモリ80号
PE4号300m
ハリス3~4号 2〜3m 2〜3本針
✳︎アマダイ用オモリ 80号
⭕️各仕掛けとも
予備は多めにご用意ください
(朝 受付にも販売ございます)
釣り場と水深:
葉山沖一帯
40M~110M
海況:
水温:16.0度
潮色と流れ:薄濁 なし→薄濁 ゆるい
風向きと強さ:北 ほどほど→北 強い
波高:1.0-1.5M→1.5-2.0M
天候:晴れ→晴れ
posted by 秀吉丸 at 16:27
| 釣果
2025年01月26日
カワハギ
16-28 cm 0-3 枚
アマダイ
26-46 cm 0-3 匹
船長コメント:
本日もありがとうございました!
前半…カワハギ
後半…アマダイ
終日北風強く近場で辛抱作戦!
カワハギは顔見れる流しのが多かったですがなかなか後に続かず一度だけ4.5枚見れる流しはありました!
TOP3枚が3名で他半数以上の方は顔見れました!
アマダイは辛抱の流し!
当たり少なかったですが今日は良型が複数浮上!
46㎝、45㎝を筆頭にほとんどが35㎝前後のナイスバディーでした٩( 'ω' )و
チビの白アマ含めてTOP3尾!
27日〜30日まで冬休みとなります。
休み明けからのご予約お待ちしております。
釣り場と水深:
葉山沖
20M~80M
16-28 cm 0-3 枚
アマダイ
26-46 cm 0-3 匹
船長コメント:
本日もありがとうございました!
前半…カワハギ
後半…アマダイ
終日北風強く近場で辛抱作戦!
カワハギは顔見れる流しのが多かったですがなかなか後に続かず一度だけ4.5枚見れる流しはありました!
TOP3枚が3名で他半数以上の方は顔見れました!
アマダイは辛抱の流し!
当たり少なかったですが今日は良型が複数浮上!
46㎝、45㎝を筆頭にほとんどが35㎝前後のナイスバディーでした٩( 'ω' )و
チビの白アマ含めてTOP3尾!
27日〜30日まで冬休みとなります。
休み明けからのご予約お待ちしております。
釣り場と水深:
葉山沖
20M~80M
posted by 秀吉丸 at 15:43
| 釣果
2025年01月25日
マダイ イシダイ クロダイ
0.3-1.9 kg 0-4 枚
前半…タイ五目
アマダイ
21-28 cm 0-2 枚
後半…アマダイ 魚種多彩!
船長コメント:
北風強く風裏漁場をジックリと〜
7名様で 【タイ五目&アマダイリレー】
●前半…タイ五目
●後半…アマダイ
タイ五目は 近場風裏漁場で 魚影濃く◎
「マダイ・クロダイ・イシダイ」と
タイ御三家GET成功〜!!
ハナダイも混じりましたよ♪
他に良型イサキにイトフエフキダイ!
オオモンハタ活性高く良型主体にトップ4尾も♪
潮が澄んでるので細ハリス断然有利‼️
【テーパーハリス2~2.5号8m2本針】
【クッションゴム2mm1m ビシ80号】
アマダイはどこも潮が全く動かず( -᷄ω-᷅ )
ならば!と ポイント移動攻撃!
本命トップ2枚◎ ゲストにキダイ多数 ホウボウ、カイワリ、サバにオニカサゴも浮上⤴︎︎ 多彩にアタリ楽しめました^^
【ハリス3~4号2m2本針 オモリ80号】
⭐️明日も北風強く風裏漁場へ!!
⭕️タイ五目&アマダイリレーにて募集中です
今現在 ご予約5名様 空席多数ございます
※朝は5時半頃までに受付を済ませ
ご乗船ください。
✳️タイ五目&アマダイリレー仕掛け
【タイ五目】
ビシ FL&M 80号
クッションゴム2㎜1m
PE4号 300m
「マダイ五目」
ハリス2~3号 8m
1本~2本針
【アマダイ】
オモリ80号
PE4号300m
ハリス3~4号 2〜3m 2〜3本針
✳︎アマダイ用オモリ 80号
⭕️各仕掛けとも
予備は多めにご用意ください
(朝 受付にも販売ございます)
釣り場と水深:
葉山沖一帯
40M~110M
海況:
水温:16.2度
潮色と流れ:澄み なし→澄み なし
風向きと強さ:北 強い→北 強い
波高:0.5-1.0M→1.0-1.5M
天候:曇り→曇り
0.3-1.9 kg 0-4 枚
前半…タイ五目
アマダイ
21-28 cm 0-2 枚
後半…アマダイ 魚種多彩!
船長コメント:
北風強く風裏漁場をジックリと〜
7名様で 【タイ五目&アマダイリレー】
●前半…タイ五目
●後半…アマダイ
タイ五目は 近場風裏漁場で 魚影濃く◎
「マダイ・クロダイ・イシダイ」と
タイ御三家GET成功〜!!
ハナダイも混じりましたよ♪
他に良型イサキにイトフエフキダイ!
オオモンハタ活性高く良型主体にトップ4尾も♪
潮が澄んでるので細ハリス断然有利‼️
【テーパーハリス2~2.5号8m2本針】
【クッションゴム2mm1m ビシ80号】
アマダイはどこも潮が全く動かず( -᷄ω-᷅ )
ならば!と ポイント移動攻撃!
本命トップ2枚◎ ゲストにキダイ多数 ホウボウ、カイワリ、サバにオニカサゴも浮上⤴︎︎ 多彩にアタリ楽しめました^^
【ハリス3~4号2m2本針 オモリ80号】
⭐️明日も北風強く風裏漁場へ!!
⭕️タイ五目&アマダイリレーにて募集中です
今現在 ご予約5名様 空席多数ございます
※朝は5時半頃までに受付を済ませ
ご乗船ください。
✳️タイ五目&アマダイリレー仕掛け
【タイ五目】
ビシ FL&M 80号
クッションゴム2㎜1m
PE4号 300m
「マダイ五目」
ハリス2~3号 8m
1本~2本針
【アマダイ】
オモリ80号
PE4号300m
ハリス3~4号 2〜3m 2〜3本針
✳︎アマダイ用オモリ 80号
⭕️各仕掛けとも
予備は多めにご用意ください
(朝 受付にも販売ございます)
釣り場と水深:
葉山沖一帯
40M~110M
海況:
水温:16.2度
潮色と流れ:澄み なし→澄み なし
風向きと強さ:北 強い→北 強い
波高:0.5-1.0M→1.0-1.5M
天候:曇り→曇り
posted by 秀吉丸 at 16:19
| 釣果
2025年01月25日
posted by 秀吉丸 at 15:54
| 釣果
2025年01月25日
2025年01月25日
posted by 秀吉丸 at 15:34
| 釣果
2025年01月25日
アマダイ
32-50 cm 0-3 枚
ヒラメ
0-0 kg 0-0 枚
船長コメント:
今日は前半ヒラメ型みずでマハタ、カサゴをゲット。後半はアマダイ狙いで大型45~50cmの3連発などもありました。
釣り場と水深:
葉山沖
15M~95M
海況:
水温:16.5度
潮色と流れ:澄み -
風向きと強さ:-
波高:-
天候:-
32-50 cm 0-3 枚
ヒラメ
0-0 kg 0-0 枚
船長コメント:
今日は前半ヒラメ型みずでマハタ、カサゴをゲット。後半はアマダイ狙いで大型45~50cmの3連発などもありました。
釣り場と水深:
葉山沖
15M~95M
海況:
水温:16.5度
潮色と流れ:澄み -
風向きと強さ:-
波高:-
天候:-
posted by 秀吉丸 at 15:30
| 釣果
2025年01月24日
posted by 秀吉丸 at 16:41
| 釣果
2025年01月24日
マダイ・イシダイ
0.3-1.55 kg 0-2 枚
序盤…タイ五目
アマダイ
21-32 cm 0-2 枚
中盤…アマダイ
船長コメント:
お客様9名様にて出船させて頂きましたm(_ _)m
日中〜風弱く♪ 3種目狙ってきましたよぉ〜
前半は北風強く風裏漁場にて
●序盤…タイ五目
●中盤…アマダイ
後半 風弱まり
●終盤…メダイ
タイ五目は潮流れ良く
マダイ主体にヒット連発⤴︎︎
最大1.55kg含み1.5kg、1.3kg他良型も目立ちトップ2枚が3名様! 他に良型イサキ、イシダイ、イトフエフキダイ等も混じりました♪
(テーパーハリス2~2.5号8m2本針有利!)
(ビシ80号M~Lサイズ)
アマダイも潮流れ適度に♪ポイント着1投目から本命アマダイ浮上⤴︎︎ その後もダブルヒットもあり 正味2時間弱でトップ2枚が4名様(合計12枚)ゲストにキダイ入れ食い笑 マトウダイも!
(ハリス3~4号2m2本針 オモリ80号)
メダイは初め潮流れ不足で活性無く苦戦も 次第に流れ始め 活性スイッチオン( 。・ω・。)ノ 凸ポチッ 船中4名様同時ヒットもあり 短時間ながら トップ2本が2名様!型も良く3kg級主体♪ 19打数9安打とGET率低く残念(ハリス切れ、針外れ、オマツリバラシ等)生ホタルイカエサ持参有利でした◎
(ハリス4~5号4.5~6m2本針)
(ビシ80号M~Lサイズ)
⭐️明日、明後日と北風強めに吹く予報です。
●遠方のメダイは強風時はNG●
風裏漁場にて【タイ五目&アマダイリレー】を
ジックリと狙います‼️
マダイ、クロダイ、イサキ、イシダイ、アマダイ等狙い目です(((o(*゚▽゚*)o)))
※5時半頃までに受付を済ませご乗船ください
✳️タイ五目&アマダイリレー仕掛け
【タイ五目】
ビシ FL&M 80号
クッションゴム2㎜1m
PE4号 300m
「マダイ五目」
ハリス2~3号 8m
1本~2本針
「メダイ」
ハリス4号4.5~6m 2本針
【アマダイ】
オモリ80号
PE4号300m
ハリス3~4号 2〜3m 2〜3本針
✳︎アマダイ用オモリ 80号
⭕️各仕掛けとも
予備は多めにご用意ください
(朝 受付にも販売ございます)
釣り場と水深:
葉山沖一帯
40M~130M
海況:
水温:16.5度
潮色と流れ:澄み ゆるい→澄み ゆるい
風向きと強さ:北 ほどほど→北 弱い
波高:1.0-1.5M→0-0.5M
天候:晴れ→晴れ
0.3-1.55 kg 0-2 枚
序盤…タイ五目
アマダイ
21-32 cm 0-2 枚
中盤…アマダイ
船長コメント:
お客様9名様にて出船させて頂きましたm(_ _)m
日中〜風弱く♪ 3種目狙ってきましたよぉ〜
前半は北風強く風裏漁場にて
●序盤…タイ五目
●中盤…アマダイ
後半 風弱まり
●終盤…メダイ
タイ五目は潮流れ良く
マダイ主体にヒット連発⤴︎︎
最大1.55kg含み1.5kg、1.3kg他良型も目立ちトップ2枚が3名様! 他に良型イサキ、イシダイ、イトフエフキダイ等も混じりました♪
(テーパーハリス2~2.5号8m2本針有利!)
(ビシ80号M~Lサイズ)
アマダイも潮流れ適度に♪ポイント着1投目から本命アマダイ浮上⤴︎︎ その後もダブルヒットもあり 正味2時間弱でトップ2枚が4名様(合計12枚)ゲストにキダイ入れ食い笑 マトウダイも!
(ハリス3~4号2m2本針 オモリ80号)
メダイは初め潮流れ不足で活性無く苦戦も 次第に流れ始め 活性スイッチオン( 。・ω・。)ノ 凸ポチッ 船中4名様同時ヒットもあり 短時間ながら トップ2本が2名様!型も良く3kg級主体♪ 19打数9安打とGET率低く残念(ハリス切れ、針外れ、オマツリバラシ等)生ホタルイカエサ持参有利でした◎
(ハリス4~5号4.5~6m2本針)
(ビシ80号M~Lサイズ)
⭐️明日、明後日と北風強めに吹く予報です。
●遠方のメダイは強風時はNG●
風裏漁場にて【タイ五目&アマダイリレー】を
ジックリと狙います‼️
マダイ、クロダイ、イサキ、イシダイ、アマダイ等狙い目です(((o(*゚▽゚*)o)))
※5時半頃までに受付を済ませご乗船ください
✳️タイ五目&アマダイリレー仕掛け
【タイ五目】
ビシ FL&M 80号
クッションゴム2㎜1m
PE4号 300m
「マダイ五目」
ハリス2~3号 8m
1本~2本針
「メダイ」
ハリス4号4.5~6m 2本針
【アマダイ】
オモリ80号
PE4号300m
ハリス3~4号 2〜3m 2〜3本針
✳︎アマダイ用オモリ 80号
⭕️各仕掛けとも
予備は多めにご用意ください
(朝 受付にも販売ございます)
釣り場と水深:
葉山沖一帯
40M~130M
海況:
水温:16.5度
潮色と流れ:澄み ゆるい→澄み ゆるい
風向きと強さ:北 ほどほど→北 弱い
波高:1.0-1.5M→0-0.5M
天候:晴れ→晴れ
posted by 秀吉丸 at 16:30
| 釣果
2025年01月23日
メダイ
2.0-3.3 kg 0-3 枚
中盤…メダイ狙い
アマダイ
22-32 cm 0-2 枚
終盤…アマダイ狙い 魚種多彩!
船長コメント:
風弱く〜3種目(タイ五目 メダイ アマダイ)
狙ってきましたー(๑•̀ •́)و✧
●序盤…タイ五目
●中盤…メダイ
●終盤…アマダイ
タイ五目はクロダイに良型イサキGET!他に良型メイチダイに大型カワハギ!
マダイ・ハナダイは魚影濃いも惜しくもヒットならず⤵︎ ︎ でも、魚はいるのでまた食う日もありますよ〜^^
※テーパーハリス2~2.5号8m2本針有利です
メダイは潮流れ不足で 気に入ったエサ、仕掛けを選んでヒットする様子でしたが トップ3本!「13打数11安打」
※生ホタルイカエサ持参有利ですよ〜
ハリス4号6m2本針 ビシ80号
アマダイは潮流れ適度に魚種多彩にアタリ到来♪
本命アマダイは短時間ながらトップ2枚!
他にキダイ、良型オキメバル、アカイサキ、カイワリ、ムシガレイに大型カンコも浮上⤴︎︎ クーラーボックス賑やかになりました\( 'ω')/
※ハリス3~4号2m2~3本針 オモリ80号
⭕️ナギ日和 ポイント広範囲に探れ有利です!
⭐️明日もナギ予報出てます♪
今現在 空席多数ございます!
ご予約お待ちしておりますm(_ _)m
※朝は5時半頃までに受付を済ませ
船にご乗船ください
⭐️強風時は風裏漁場にて
タイ五目&アマダイリレーをジックリ狙います!!
(メダイご希望のお客様はナギ日和に是非)
✳️タイ五目&アマダイリレー仕掛け
【タイ五目】
ビシ FL&M 80号
クッションゴム2㎜1m
PE4号 300m
「マダイ五目」
ハリス2~3号 8m
1本~2本針
「メダイ」
ハリス4号4.5~6m 2本針
【アマダイ】
オモリ80号
PE4号300m
ハリス3~4号 2〜3m 2〜3本針
✳︎アマダイ用オモリ 80号
⭕️各仕掛けとも
予備は多めにご用意ください
(朝 受付にも販売ございます)
釣り場と水深:
葉山沖一帯
40M~130M
海況:
水温:16.4度
潮色と流れ:澄み なし→澄み ゆるい
風向きと強さ:北 弱い→南 弱い
波高:0.5-1.0M→0-0.5M
天候:曇り→晴れ
2.0-3.3 kg 0-3 枚
中盤…メダイ狙い
アマダイ
22-32 cm 0-2 枚
終盤…アマダイ狙い 魚種多彩!
船長コメント:
風弱く〜3種目(タイ五目 メダイ アマダイ)
狙ってきましたー(๑•̀ •́)و✧
●序盤…タイ五目
●中盤…メダイ
●終盤…アマダイ
タイ五目はクロダイに良型イサキGET!他に良型メイチダイに大型カワハギ!
マダイ・ハナダイは魚影濃いも惜しくもヒットならず⤵︎ ︎ でも、魚はいるのでまた食う日もありますよ〜^^
※テーパーハリス2~2.5号8m2本針有利です
メダイは潮流れ不足で 気に入ったエサ、仕掛けを選んでヒットする様子でしたが トップ3本!「13打数11安打」
※生ホタルイカエサ持参有利ですよ〜
ハリス4号6m2本針 ビシ80号
アマダイは潮流れ適度に魚種多彩にアタリ到来♪
本命アマダイは短時間ながらトップ2枚!
他にキダイ、良型オキメバル、アカイサキ、カイワリ、ムシガレイに大型カンコも浮上⤴︎︎ クーラーボックス賑やかになりました\( 'ω')/
※ハリス3~4号2m2~3本針 オモリ80号
⭕️ナギ日和 ポイント広範囲に探れ有利です!
⭐️明日もナギ予報出てます♪
今現在 空席多数ございます!
ご予約お待ちしておりますm(_ _)m
※朝は5時半頃までに受付を済ませ
船にご乗船ください
⭐️強風時は風裏漁場にて
タイ五目&アマダイリレーをジックリ狙います!!
(メダイご希望のお客様はナギ日和に是非)
✳️タイ五目&アマダイリレー仕掛け
【タイ五目】
ビシ FL&M 80号
クッションゴム2㎜1m
PE4号 300m
「マダイ五目」
ハリス2~3号 8m
1本~2本針
「メダイ」
ハリス4号4.5~6m 2本針
【アマダイ】
オモリ80号
PE4号300m
ハリス3~4号 2〜3m 2〜3本針
✳︎アマダイ用オモリ 80号
⭕️各仕掛けとも
予備は多めにご用意ください
(朝 受付にも販売ございます)
釣り場と水深:
葉山沖一帯
40M~130M
海況:
水温:16.4度
潮色と流れ:澄み なし→澄み ゆるい
風向きと強さ:北 弱い→南 弱い
波高:0.5-1.0M→0-0.5M
天候:曇り→晴れ
posted by 秀吉丸 at 16:26
| 釣果
2025年01月22日
本日船内ガラガラ4名様とオマツリ少なく
釣り放題♪
魚も警戒心緩み チャンスday〜でした(*^^*)
前半北風強く 風裏漁場にて
●序盤…タイ五目
●中盤…アマダイ
後半風も弱まり 沖合へ走り
●終盤…メダイ
タイ五目はマダイ主体に食い活発⤴︎⤴︎
短時間でトップ4枚!! 2番手3枚が2名様
アマダイは潮流れ適度に短時間でも4名様皆様本命キャッチ成功〜◎ ゲストにキダイ入れ食い!
最後は深場100m以深でメダイ狙い!
ピンポイント狙いで「一流し一投旋回」にて
メダイの群れに仕掛けを入れて…ダブル!トリプルヒット連発⤴︎︎ 4名様で【24打数19安打】とオマツリ少なくGET率もup⤴︎︎\(^^)/ 3~6本(6本は2名様)と クーラーボックス満タンでした♪
※生ホタルイカエサ持参有利ですが、食いが良い時はイカ短冊、オキアミ抱き合わせでもヒットありました◎
※ハリス4号4.5~6m2本針
※クッションゴム2.5mm50cm
⭐️明日もナギ良く3種類を計画中!
(タイ五目、アマダイ、メダイ)
今現在 ご予約12名様‼️
人数増えれば明日は2隻体制可能dayです!
ご予約お待ちしておりますm(_ _)m
●週末は配船の都合で1隻のみとなります。
ご予約はお早めにお願い致します。
(北風強風時は風裏漁場にて
タイ五目&アマダイをジックリ狙います!)
(メダイはナギ日和 限定)
◎朝は5時半頃までに受付を済ませ
船にご乗船ください
✳️タイ五目&アマダイリレー仕掛け
【タイ五目】
ビシ FL&M 80号
クッションゴム2㎜1m
PE4号 300m
「マダイ五目」
ハリス2~3号 8m
1本~2本針
「メダイ」
ハリス4号4.5~6m 2本針
【アマダイ】
オモリ80号
PE4号300m
ハリス3~4号 2〜3m 2〜3本針
✳︎アマダイ用オモリ 80号
⭕️各仕掛けとも
予備は多めにご用意ください
(朝 受付にも販売ございます)
釣り放題♪
魚も警戒心緩み チャンスday〜でした(*^^*)
前半北風強く 風裏漁場にて
●序盤…タイ五目
●中盤…アマダイ
後半風も弱まり 沖合へ走り
●終盤…メダイ
タイ五目はマダイ主体に食い活発⤴︎⤴︎
短時間でトップ4枚!! 2番手3枚が2名様
アマダイは潮流れ適度に短時間でも4名様皆様本命キャッチ成功〜◎ ゲストにキダイ入れ食い!
最後は深場100m以深でメダイ狙い!
ピンポイント狙いで「一流し一投旋回」にて
メダイの群れに仕掛けを入れて…ダブル!トリプルヒット連発⤴︎︎ 4名様で【24打数19安打】とオマツリ少なくGET率もup⤴︎︎\(^^)/ 3~6本(6本は2名様)と クーラーボックス満タンでした♪
※生ホタルイカエサ持参有利ですが、食いが良い時はイカ短冊、オキアミ抱き合わせでもヒットありました◎
※ハリス4号4.5~6m2本針
※クッションゴム2.5mm50cm
⭐️明日もナギ良く3種類を計画中!
(タイ五目、アマダイ、メダイ)
今現在 ご予約12名様‼️
人数増えれば明日は2隻体制可能dayです!
ご予約お待ちしておりますm(_ _)m
●週末は配船の都合で1隻のみとなります。
ご予約はお早めにお願い致します。
(北風強風時は風裏漁場にて
タイ五目&アマダイをジックリ狙います!)
(メダイはナギ日和 限定)
◎朝は5時半頃までに受付を済ませ
船にご乗船ください
✳️タイ五目&アマダイリレー仕掛け
【タイ五目】
ビシ FL&M 80号
クッションゴム2㎜1m
PE4号 300m
「マダイ五目」
ハリス2~3号 8m
1本~2本針
「メダイ」
ハリス4号4.5~6m 2本針
【アマダイ】
オモリ80号
PE4号300m
ハリス3~4号 2〜3m 2〜3本針
✳︎アマダイ用オモリ 80号
⭕️各仕掛けとも
予備は多めにご用意ください
(朝 受付にも販売ございます)
posted by 秀吉丸 at 16:35
| 海上報告
2025年01月22日
posted by 秀吉丸 at 15:56
| 釣果
2025年01月21日
マダイ・クロダイ
0.4-1.2 kg 0-3 枚
前半…タイ五目 他メダイも!
アマダイ
23-30 cm 0-2 枚
後半…アマダイ
船長コメント:
13名様にご乗船頂き ありがとうございました!
今日は気象条件等 好条件揃って
ポイント広範囲に探れ 3種目狙ってきました♪
●序盤…タイ五目
●中盤…メダイ
●終盤…アマダイ
タイ五目はマダイ主体に連続ヒット有!潮が澄んで警戒心強めなので ポイント移動直後にチャンス有り♪ ゲストにメイチダイ、シマダイ、オキナヒメジ、カワハギ等【ハリス2~3号8m2本針】
メダイは深場100m以深をピンポイント狙いで
「一流し一投旋回」
ポイント着1投目から船中Wヒット有り♪ 船内オマツリ多発で GET率下がりましたが汗 メダイの食い自体は良く『23打数13安打』トップ3本キャッチ♪
【ハリス4号6m2本針】
【生ホタルイカ有利!オキアミでもOK】
アマダイは潮流れ少なく活性イマイチながら 正味2時間ながら本命アマダイのトップ2枚!ゲストにキダイ多数、カイワリ、カンパチ、シロアマダイも浮上⤴︎︎
【ハリス3~4号2m2~3本針】
【オモリ80号】
✡メダイ狙いは深場で遠方なので
気象条件等を 考慮し狙います!
ご希望のお客様はナギ日和に是非‼️
※強風時は岸よりタイ五目&アマダイを
ジックリ狙います(๑•̀ •́)و✧
⭐️明日もナギ良く出船確定⭕️
今現在 ご予約4名様と空席ございます!
チャンスday〜
✳️タイ五目&アマダイリレー仕掛け
【タイ五目】
ビシ FL&M 80号
クッションゴム2㎜1m
PE4号 300m
「マダイ五目」
ハリス2~3号 8m
1本~2本針
「メダイ」
ハリス4号4.5~6m 2本針
【アマダイ】
オモリ80号
PE4号300m
ハリス3~4号 2〜3m 2〜3本針
✳︎アマダイ用オモリ 80号
⭕️各仕掛けとも
予備は多めにご用意ください
(朝 受付にも販売ございます)
釣り場と水深:
葉山沖一帯
40M~130M
海況:
水温:16.0度
潮色と流れ:澄み なし→澄み ゆるい
風向きと強さ:北 弱い→北 ほどほど
波高:0-0.5M→1.0-1.5M
天候:曇り→曇り
0.4-1.2 kg 0-3 枚
前半…タイ五目 他メダイも!
アマダイ
23-30 cm 0-2 枚
後半…アマダイ
船長コメント:
13名様にご乗船頂き ありがとうございました!
今日は気象条件等 好条件揃って
ポイント広範囲に探れ 3種目狙ってきました♪
●序盤…タイ五目
●中盤…メダイ
●終盤…アマダイ
タイ五目はマダイ主体に連続ヒット有!潮が澄んで警戒心強めなので ポイント移動直後にチャンス有り♪ ゲストにメイチダイ、シマダイ、オキナヒメジ、カワハギ等【ハリス2~3号8m2本針】
メダイは深場100m以深をピンポイント狙いで
「一流し一投旋回」
ポイント着1投目から船中Wヒット有り♪ 船内オマツリ多発で GET率下がりましたが汗 メダイの食い自体は良く『23打数13安打』トップ3本キャッチ♪
【ハリス4号6m2本針】
【生ホタルイカ有利!オキアミでもOK】
アマダイは潮流れ少なく活性イマイチながら 正味2時間ながら本命アマダイのトップ2枚!ゲストにキダイ多数、カイワリ、カンパチ、シロアマダイも浮上⤴︎︎
【ハリス3~4号2m2~3本針】
【オモリ80号】
✡メダイ狙いは深場で遠方なので
気象条件等を 考慮し狙います!
ご希望のお客様はナギ日和に是非‼️
※強風時は岸よりタイ五目&アマダイを
ジックリ狙います(๑•̀ •́)و✧
⭐️明日もナギ良く出船確定⭕️
今現在 ご予約4名様と空席ございます!
チャンスday〜
✳️タイ五目&アマダイリレー仕掛け
【タイ五目】
ビシ FL&M 80号
クッションゴム2㎜1m
PE4号 300m
「マダイ五目」
ハリス2~3号 8m
1本~2本針
「メダイ」
ハリス4号4.5~6m 2本針
【アマダイ】
オモリ80号
PE4号300m
ハリス3~4号 2〜3m 2〜3本針
✳︎アマダイ用オモリ 80号
⭕️各仕掛けとも
予備は多めにご用意ください
(朝 受付にも販売ございます)
釣り場と水深:
葉山沖一帯
40M~130M
海況:
水温:16.0度
潮色と流れ:澄み なし→澄み ゆるい
風向きと強さ:北 弱い→北 ほどほど
波高:0-0.5M→1.0-1.5M
天候:曇り→曇り
posted by 秀吉丸 at 16:12
| 釣果
2025年01月20日
マダイ
0.4-0.8 kg 0-3 枚
前半…タイ五目にて 他にメダイも!
アマダイ
20-38 cm 0-3 枚
後半…アマダイ
船長コメント:
終日無風♪
超〜ベタナギで絶好のチャンスday‼️
お客様少なく 魚達の警戒心もユルユル〜♪
●前半…タイ五目
●後半…アマダイ
タイ五目は朝のうち 雨模様で海中暗くマダイ連続ヒット有り◎ゲストにウマズラハギ、イトフエフキダイ、オオモンハタ、大サバ等【ハリス2.5号8m2本針】 次第に太陽出て 深場(100m以深)へポイント移動 潮流れ複雑で「一流し一投旋回」のピンポイント狙いで メダイ荒食い⤴︎︎ 流し変える度に船中ダブル!トリプルヒットで 『23打数18安打』全員キャッチ成功で 2~5本!! 今日も生ホタルイカエサ絶対有利でしたよ〜【ハリス4号6m2~3本針】
ゲストにアカイサキ、大サバ等
アマダイは潮流れ適度に深場にて本命アマダイ!ポツポツと浮上⤴︎︎ ゲストにキダイ入れ食いでした◎
※ナギ日和がポイント広範囲に探れ有利ですよ〜
⭐️明日のご予約12名様。
⭕️仕掛けの消耗多いので予備の仕掛けは多めにご準備ください。
✳️タイ五目&アマダイリレー仕掛け
【タイ五目】
ビシ FL&M 80号
クッションゴム2㎜1m
PE4号 300m
「マダイ五目」
ハリス2~3号 8m
1本~2本針
「メダイ」
ハリス4号4.5~6m 2本針
(生ホタルイカエサ持参有利)
【アマダイ】
オモリ80号
PE4号300m
ハリス3~4号 2〜3m 2〜3本針
✳︎アマダイ用オモリ 80号
⭕️各仕掛けとも
予備は多めにご用意ください
(朝 受付にも販売ございます)
釣り場と水深:
葉山沖一帯
40M~130M
海況:
水温:15.9度
潮色と流れ:澄み なし→澄み ゆるい
風向きと強さ:北 弱い
波高:0-0.5M→0-0.5M
天候:雨→晴れ
0.4-0.8 kg 0-3 枚
前半…タイ五目にて 他にメダイも!
アマダイ
20-38 cm 0-3 枚
後半…アマダイ
船長コメント:
終日無風♪
超〜ベタナギで絶好のチャンスday‼️
お客様少なく 魚達の警戒心もユルユル〜♪
●前半…タイ五目
●後半…アマダイ
タイ五目は朝のうち 雨模様で海中暗くマダイ連続ヒット有り◎ゲストにウマズラハギ、イトフエフキダイ、オオモンハタ、大サバ等【ハリス2.5号8m2本針】 次第に太陽出て 深場(100m以深)へポイント移動 潮流れ複雑で「一流し一投旋回」のピンポイント狙いで メダイ荒食い⤴︎︎ 流し変える度に船中ダブル!トリプルヒットで 『23打数18安打』全員キャッチ成功で 2~5本!! 今日も生ホタルイカエサ絶対有利でしたよ〜【ハリス4号6m2~3本針】
ゲストにアカイサキ、大サバ等
アマダイは潮流れ適度に深場にて本命アマダイ!ポツポツと浮上⤴︎︎ ゲストにキダイ入れ食いでした◎
※ナギ日和がポイント広範囲に探れ有利ですよ〜
⭐️明日のご予約12名様。
⭕️仕掛けの消耗多いので予備の仕掛けは多めにご準備ください。
✳️タイ五目&アマダイリレー仕掛け
【タイ五目】
ビシ FL&M 80号
クッションゴム2㎜1m
PE4号 300m
「マダイ五目」
ハリス2~3号 8m
1本~2本針
「メダイ」
ハリス4号4.5~6m 2本針
(生ホタルイカエサ持参有利)
【アマダイ】
オモリ80号
PE4号300m
ハリス3~4号 2〜3m 2〜3本針
✳︎アマダイ用オモリ 80号
⭕️各仕掛けとも
予備は多めにご用意ください
(朝 受付にも販売ございます)
釣り場と水深:
葉山沖一帯
40M~130M
海況:
水温:15.9度
潮色と流れ:澄み なし→澄み ゆるい
風向きと強さ:北 弱い
波高:0-0.5M→0-0.5M
天候:雨→晴れ
posted by 秀吉丸 at 16:18
| 釣果
2025年01月19日
風弱く 薄曇り♪
7名様にお集まり頂き ナギの海へ出船!!
●前半…タイ五目
●後半…アマダイ
タイ五目は ハナダイ主体に魚影濃いも食い浅くバラシも 綺麗なキロ級マダイGET成功〜◎ 他に良型イサキも!【ハリス2~2.5号8m2本針 ビシ80号】 そして今日は少人数とナギにて深場メダイも狙いに行ってきました⤴︎︎ (๑•̀ •́)و✧ 狙ったポイントにメダイの魚影濃く1投目から本命キャッチ!! 潮流れ複雑で 「一流し一投旋回」にてピンポイント攻め!流し変える度にヒットで食いが止まるまでに トップ2本 「6打数5安打」 生ホタルイカ餌持参の方有利でした‼️ 【ハリス4号6m2本針 ビシ80号】 他にアカイサキ、キントキダイ混じり!
アマダイも深場にて潮流れ適度にキダイ入れ食い!本命アマダイは数こそ出ませんでしたが『51.5cm』特大アマダイも浮上⤴︎︎ 他にカイワリ、カンコ混じり。
⭐️明日も風弱く〜出船確定⭕️
今現在 ご予約2名様とチャンスdayーーーっ
タイ五目(マダイ ハナダイ メダイへも!)
アマダイ(大型狙い)
✳️タイ五目&アマダイリレー
仕掛け
【タイ五目】
ビシ FL&M 80号
クッションゴム2㎜1m
PE4号 300m
「マダイ五目」
ハリス2~3号 8m 1本~2本針
「メダイ」
ハリス4号4.5~6m 2本針
【アマダイ】
オモリ80号
PE4号300m
ハリス3~4号 2〜3m 2〜3本針
✳︎アマダイ用オモリ 80号
⭕️各仕掛けとも
予備は多めにご用意ください
(朝 受付にも販売ございます)
7名様にお集まり頂き ナギの海へ出船!!
●前半…タイ五目
●後半…アマダイ
タイ五目は ハナダイ主体に魚影濃いも食い浅くバラシも 綺麗なキロ級マダイGET成功〜◎ 他に良型イサキも!【ハリス2~2.5号8m2本針 ビシ80号】 そして今日は少人数とナギにて深場メダイも狙いに行ってきました⤴︎︎ (๑•̀ •́)و✧ 狙ったポイントにメダイの魚影濃く1投目から本命キャッチ!! 潮流れ複雑で 「一流し一投旋回」にてピンポイント攻め!流し変える度にヒットで食いが止まるまでに トップ2本 「6打数5安打」 生ホタルイカ餌持参の方有利でした‼️ 【ハリス4号6m2本針 ビシ80号】 他にアカイサキ、キントキダイ混じり!
アマダイも深場にて潮流れ適度にキダイ入れ食い!本命アマダイは数こそ出ませんでしたが『51.5cm』特大アマダイも浮上⤴︎︎ 他にカイワリ、カンコ混じり。
⭐️明日も風弱く〜出船確定⭕️
今現在 ご予約2名様とチャンスdayーーーっ
タイ五目(マダイ ハナダイ メダイへも!)
アマダイ(大型狙い)
✳️タイ五目&アマダイリレー
仕掛け
【タイ五目】
ビシ FL&M 80号
クッションゴム2㎜1m
PE4号 300m
「マダイ五目」
ハリス2~3号 8m 1本~2本針
「メダイ」
ハリス4号4.5~6m 2本針
【アマダイ】
オモリ80号
PE4号300m
ハリス3~4号 2〜3m 2〜3本針
✳︎アマダイ用オモリ 80号
⭕️各仕掛けとも
予備は多めにご用意ください
(朝 受付にも販売ございます)
posted by 秀吉丸 at 16:33
| 海上報告
2025年01月19日
カワハギ
16-27cm 2-6 枚
アマダイ
26-50 cm 0-5 匹
船長コメント:
本日もありがとうございました♪
凪日、3名様にてチャンス到来٩( 'ω' )و
前半…カワハギ
後半…アマダイ
カワハギさん毎日難しいです!
しかしながら諦めなければ顔見れますよ‼︎
大事なのは諦めない心‼︎
今日は9割大判の良型○
20M〜50Mまで幅広く探ってみました!
次回も全員GET目指して頑張りましょう!
ワンパターンの誘いではなく試行錯誤してみて下さい!
見つけちゃえば連チャンもあります!
今日もありましたよー!
アマダイもポツポツと各ポイントで顔は出してくれました!
最大50㎝のデカアマに中型混じりでTOP5尾!
残念ながらお一人様顔見れませんでしたがカワハギ6枚ゲッチュされてましたのでお土産は十分でしたね(^ ^)
これがリレー船のむずオモロい所っ!
各メインターゲットダブルで討伐を目標にまた頑張りましょう!
明日は今の所ご予約なし、、、
3名様集まり次第出船確定となります!
引き続きよろしくお願い致します!
釣り場と水深:
葉山沖
20M~110M
16-27cm 2-6 枚
アマダイ
26-50 cm 0-5 匹
船長コメント:
本日もありがとうございました♪
凪日、3名様にてチャンス到来٩( 'ω' )و
前半…カワハギ
後半…アマダイ
カワハギさん毎日難しいです!
しかしながら諦めなければ顔見れますよ‼︎
大事なのは諦めない心‼︎
今日は9割大判の良型○
20M〜50Mまで幅広く探ってみました!
次回も全員GET目指して頑張りましょう!
ワンパターンの誘いではなく試行錯誤してみて下さい!
見つけちゃえば連チャンもあります!
今日もありましたよー!
アマダイもポツポツと各ポイントで顔は出してくれました!
最大50㎝のデカアマに中型混じりでTOP5尾!
残念ながらお一人様顔見れませんでしたがカワハギ6枚ゲッチュされてましたのでお土産は十分でしたね(^ ^)
これがリレー船のむずオモロい所っ!
各メインターゲットダブルで討伐を目標にまた頑張りましょう!
明日は今の所ご予約なし、、、
3名様集まり次第出船確定となります!
引き続きよろしくお願い致します!
釣り場と水深:
葉山沖
20M~110M
posted by 秀吉丸 at 15:28
| 釣果
2025年01月18日
マダイ ハナダイ クロダイ
0.3-1.5 kg 0-6 枚
朝と帰り…タイ五目
アマダイ
23-38 cm 0-2 枚
日中…アマダイ
船長コメント:
13名様にご乗船頂きありがとうございました!
北風強めに吹き 岸より漁場をセレクト!
●朝と帰り…タイ五目
●日中…アマダイ
タイ五目は マダイ・ハナダイ・クロダイとタイ御三家揃い〜 トップ6枚!今日も細ハリス「2~2.5号8m2本針」有利でした♪ ゲストにイサキ、イトフエフキダイ、ホウボウ等混じりました^^
アマダイは潮流れ適度に魚種多彩に良型アマダイ中心にGET成功〜◎ 正味2時間でトップ2枚が2名様(船中10枚) キダイ入れ食い!カイワリに良型サバでお土産キープ♪
⭐️明日の雨予報は夕方!! 釣り時間は曇り空で 風もベタナギ予報⭕️ 今現在ご予約様…なんと1名様のみ‼️ 大穴チャンスdayですԅ(¯Д¯ԅ)
※生ホタルイカエサ持参でいい事あるかも ✧︎
✳️タイ五目&アマダイリレー仕掛け
【タイ五目】
ビシ FL&M 80号
クッションゴム2㎜1m
PE4号 300m
「マダイ五目」
ハリス2~3号 8m
1本~2本針
【アマダイ】
オモリ80号
PE4号300m
ハリス3~4号 2〜3m 2〜3本針
✳︎アマダイ用オモリ 80号
⭕️各仕掛けとも
予備は多めにご用意ください
(朝 受付にも販売ございます)
釣り場と水深:
葉山沖
40M~110M
海況:
水温:15.9度
潮色と流れ:薄濁 ゆるい→澄み ゆるい
風向きと強さ:北 強い→北 弱い
波高:1.0-1.5M→0.5-1.0M
天候:曇り→曇り
0.3-1.5 kg 0-6 枚
朝と帰り…タイ五目
アマダイ
23-38 cm 0-2 枚
日中…アマダイ
船長コメント:
13名様にご乗船頂きありがとうございました!
北風強めに吹き 岸より漁場をセレクト!
●朝と帰り…タイ五目
●日中…アマダイ
タイ五目は マダイ・ハナダイ・クロダイとタイ御三家揃い〜 トップ6枚!今日も細ハリス「2~2.5号8m2本針」有利でした♪ ゲストにイサキ、イトフエフキダイ、ホウボウ等混じりました^^
アマダイは潮流れ適度に魚種多彩に良型アマダイ中心にGET成功〜◎ 正味2時間でトップ2枚が2名様(船中10枚) キダイ入れ食い!カイワリに良型サバでお土産キープ♪
⭐️明日の雨予報は夕方!! 釣り時間は曇り空で 風もベタナギ予報⭕️ 今現在ご予約様…なんと1名様のみ‼️ 大穴チャンスdayですԅ(¯Д¯ԅ)
※生ホタルイカエサ持参でいい事あるかも ✧︎
✳️タイ五目&アマダイリレー仕掛け
【タイ五目】
ビシ FL&M 80号
クッションゴム2㎜1m
PE4号 300m
「マダイ五目」
ハリス2~3号 8m
1本~2本針
【アマダイ】
オモリ80号
PE4号300m
ハリス3~4号 2〜3m 2〜3本針
✳︎アマダイ用オモリ 80号
⭕️各仕掛けとも
予備は多めにご用意ください
(朝 受付にも販売ございます)
釣り場と水深:
葉山沖
40M~110M
海況:
水温:15.9度
潮色と流れ:薄濁 ゆるい→澄み ゆるい
風向きと強さ:北 強い→北 弱い
波高:1.0-1.5M→0.5-1.0M
天候:曇り→曇り
posted by 秀吉丸 at 16:21
| 釣果
2025年01月18日
posted by 秀吉丸 at 15:59
| 釣果
2025年01月18日
カワハギ
17-27.5 cm 0-5 枚
TOP5枚3名様
アマダイ
24-40 cm 0-5 匹
船中28尾
船長コメント:
本日もありがとうございました!
前半…カワハギ
後半…アマダイ
北風ピューピュー寒い中の釣行となりました。
お疲れ様でした!
カワハギ最大27.5㎝体高が凄まじい良型を筆頭にほとんどの方が顔見れました!
なんとか拾っていけてダブルヒットなどもありましたが手の合う方はお土産分は釣れましたね!
流れがあればもう少し盛り上がりそうでした!
アマダイは小型と中型が半々くらいで数でました!
船中28尾!
外道の当たりは限りなく少なかったですが当たれば本命の可能性高く、皆様最後までナイスファイトでした!
明日は現在2名様です。
3名様揃えば出船となりますので引き続きお問い合わせお待ちしております!
釣り場と水深:
葉山沖
20M~110M
17-27.5 cm 0-5 枚
TOP5枚3名様
アマダイ
24-40 cm 0-5 匹
船中28尾
船長コメント:
本日もありがとうございました!
前半…カワハギ
後半…アマダイ
北風ピューピュー寒い中の釣行となりました。
お疲れ様でした!
カワハギ最大27.5㎝体高が凄まじい良型を筆頭にほとんどの方が顔見れました!
なんとか拾っていけてダブルヒットなどもありましたが手の合う方はお土産分は釣れましたね!
流れがあればもう少し盛り上がりそうでした!
アマダイは小型と中型が半々くらいで数でました!
船中28尾!
外道の当たりは限りなく少なかったですが当たれば本命の可能性高く、皆様最後までナイスファイトでした!
明日は現在2名様です。
3名様揃えば出船となりますので引き続きお問い合わせお待ちしております!
釣り場と水深:
葉山沖
20M~110M
posted by 秀吉丸 at 15:37
| 釣果
2025年01月17日
posted by 秀吉丸 at 16:28
| 釣果
2025年01月17日
ハナダイ
0.2-0.4 kg 2-5 枚
前半…タイ五目
アマダイ
20-27 cm 0-2 枚
後半…アマダイ
船長コメント:
北風微風 海上ナギ!5名様にて出船〜
若干 潮に濁り入り♪
ハナダイ主体に新群れ入りました⤴︎︎
●前半…タイ五目
●後半…アマダイ
タイ五目はハナダイ主体に5名様皆様キャッチ成功も 食いが浅くバラシ多数が残念!(細ハリステーパー2号8m2本針有利でした!) ゲストに良型メジナ、イサキ、大サバ混じり。マダイの魚影も各ポイントに確認済み✓ また次回釣れるでしょう〜^^V
アマダイは潮流れ不足で アタリ苦戦ながら トップ2枚にキダイ、カイワリ、オニカサゴ混じりでした!ナギ日和ならポイント広範囲に探れ魚種多彩に楽しめそうです(*^^*)
⭐️明日18(土)も出船確定 (ご予約12名様)
⭐️明後日 19(日)無風ベタナギ日曜日に
【ご予約0人】‼️ 緊急募集中です
✳️タイ五目&アマダイリレー仕掛け
【タイ五目】
ビシ FL&M 80号
クッションゴム2㎜1m
PE4号 300m
「マダイ五目」
ハリス2~3号 8m
1本~2本針
【アマダイ】
オモリ80号
PE4号300m
ハリス3~4号 2〜3m 2〜3本針
✳︎アマダイ用オモリ 80号
⭕️各仕掛けとも
予備は多めにご用意ください
(朝 受付にも販売ございます)
釣り場と水深:
葉山沖
40M~110M
海況:
水温:16.0度
潮色と流れ:薄濁 ゆるい→薄濁 ゆるい
風向きと強さ:北 弱い→北 ほどほど
波高:0.5-1.0M→0.5-1.0M
天候:晴れ→曇り
0.2-0.4 kg 2-5 枚
前半…タイ五目
アマダイ
20-27 cm 0-2 枚
後半…アマダイ
船長コメント:
北風微風 海上ナギ!5名様にて出船〜
若干 潮に濁り入り♪
ハナダイ主体に新群れ入りました⤴︎︎
●前半…タイ五目
●後半…アマダイ
タイ五目はハナダイ主体に5名様皆様キャッチ成功も 食いが浅くバラシ多数が残念!(細ハリステーパー2号8m2本針有利でした!) ゲストに良型メジナ、イサキ、大サバ混じり。マダイの魚影も各ポイントに確認済み✓ また次回釣れるでしょう〜^^V
アマダイは潮流れ不足で アタリ苦戦ながら トップ2枚にキダイ、カイワリ、オニカサゴ混じりでした!ナギ日和ならポイント広範囲に探れ魚種多彩に楽しめそうです(*^^*)
⭐️明日18(土)も出船確定 (ご予約12名様)
⭐️明後日 19(日)無風ベタナギ日曜日に
【ご予約0人】‼️ 緊急募集中です
✳️タイ五目&アマダイリレー仕掛け
【タイ五目】
ビシ FL&M 80号
クッションゴム2㎜1m
PE4号 300m
「マダイ五目」
ハリス2~3号 8m
1本~2本針
【アマダイ】
オモリ80号
PE4号300m
ハリス3~4号 2〜3m 2〜3本針
✳︎アマダイ用オモリ 80号
⭕️各仕掛けとも
予備は多めにご用意ください
(朝 受付にも販売ございます)
釣り場と水深:
葉山沖
40M~110M
海況:
水温:16.0度
潮色と流れ:薄濁 ゆるい→薄濁 ゆるい
風向きと強さ:北 弱い→北 ほどほど
波高:0.5-1.0M→0.5-1.0M
天候:晴れ→曇り
posted by 秀吉丸 at 15:46
| 釣果
2025年01月14日
2025年01月14日
マダイ・ハナダイ
0.3-0.6 kg 0-8 枚
朝と帰り…タイ五目
アマダイ
24-38 cm 0-3 枚
日中…アマダイ
船長コメント:
予報通り 西風が吹き海上はウネリ高く
ポイント移動制限あり!
沖合いから透明度の高い暖水流入の影響で魚達の警戒心はMAX… 細ハリス「テーパー仕掛け2号6~8m2本針」断然有利の釣りでした!
各ポイントともマダイ・ハナダイと魚影濃くポイント移動直後のチャンスタイムにマダイ連続GETの方も♪
●朝と帰り…タイ五目
●日中…アマダイ
タイ五目はマダイ主体にトップ8枚‼️
他にハナダイにカイワリ、良型イサキはトップ6本♪
アマダイは正味1時間半ながら 良型主体にトップ3枚浮上⤴︎︎
★明日はさらに強風強まり
シケ予報にて出船中止。。
★1/16(木)定休日
⭕️1/17(金)~募集中です!
ナギ日和はポイント広範囲に探れ有利です♪
✳️タイ五目&アマダイリレー仕掛け
【タイ五目】
ビシ FL&M 80号
クッションゴム2㎜1m
PE4号 300m
「マダイ五目」
ハリス2~3号 8m
1本~2本針
【アマダイ】
オモリ80号
PE4号300m
ハリス3~4号 2〜3m 2〜3本針
✳︎アマダイ用オモリ 80号
⭕️各仕掛けとも
予備は多めにご用意ください
(朝 受付にも販売ございます)
釣り場と水深:
葉山沖
40M~110M
海況:
水温:17.7度
潮色と流れ:澄み なし→澄み なし
風向きと強さ:西 ほどほど→西 ほどほど
波高:1.5-2.0M→1.0-1.5M
天候:晴れ→晴れ
0.3-0.6 kg 0-8 枚
朝と帰り…タイ五目
アマダイ
24-38 cm 0-3 枚
日中…アマダイ
船長コメント:
予報通り 西風が吹き海上はウネリ高く
ポイント移動制限あり!
沖合いから透明度の高い暖水流入の影響で魚達の警戒心はMAX… 細ハリス「テーパー仕掛け2号6~8m2本針」断然有利の釣りでした!
各ポイントともマダイ・ハナダイと魚影濃くポイント移動直後のチャンスタイムにマダイ連続GETの方も♪
●朝と帰り…タイ五目
●日中…アマダイ
タイ五目はマダイ主体にトップ8枚‼️
他にハナダイにカイワリ、良型イサキはトップ6本♪
アマダイは正味1時間半ながら 良型主体にトップ3枚浮上⤴︎︎
★明日はさらに強風強まり
シケ予報にて出船中止。。
★1/16(木)定休日
⭕️1/17(金)~募集中です!
ナギ日和はポイント広範囲に探れ有利です♪
✳️タイ五目&アマダイリレー仕掛け
【タイ五目】
ビシ FL&M 80号
クッションゴム2㎜1m
PE4号 300m
「マダイ五目」
ハリス2~3号 8m
1本~2本針
【アマダイ】
オモリ80号
PE4号300m
ハリス3~4号 2〜3m 2〜3本針
✳︎アマダイ用オモリ 80号
⭕️各仕掛けとも
予備は多めにご用意ください
(朝 受付にも販売ございます)
釣り場と水深:
葉山沖
40M~110M
海況:
水温:17.7度
潮色と流れ:澄み なし→澄み なし
風向きと強さ:西 ほどほど→西 ほどほど
波高:1.5-2.0M→1.0-1.5M
天候:晴れ→晴れ
posted by 秀吉丸 at 16:20
| 釣果
2025年01月13日
マダイ ハナダイ クロダイ
0.3-1.0 kg 1-8 枚
朝と帰り…タイ五目
アマダイ
24-37 cm 0-3 枚
日中…アマダイ
船長コメント:
終日無風ベタナギ!波の高さ⇒ 0m
日差しも温かく 日中は上着を脱ぐ陽気でした♪
ポイント探りたい放題の海へ 6名様をご案内〜
●朝と帰り…タイ五目
●日中…アマダイ
タイ五目は 相変わらず澄み潮 流れ無し…と条件イマイチながらもご乗船の皆様 「細ハリス2号8m2本針」にて澄み潮対策もバッチリ(* ー̀ ֊ ー́ )و✧
マダイ・ハナダイ中心に魚影濃く♪ トップ8枚!6名様皆様 GET達成〜◎ 他に良型イサキも⤴︎︎
アマダイは潮流れ全く無く(^^; ポイント移動攻撃作戦!その甲斐あって ポツポツと釣果を伸ばし トップ3枚!ゲスト多彩にキダイ多数、カイワリ、カサゴ、ウマズラハギ、オニカサゴ0~2尾と楽しめました^^V
⭐️明日は次第に南西の風予報…
近場限定操業となりそうです。
今現在 ご予約4名様
✳️タイ五目&アマダイリレー仕掛け
【タイ五目】
ビシ FL&M 80号
クッションゴム2㎜1m
PE4号 300m
「マダイ五目」
ハリス2~3号 8m
1本~2本針
【アマダイ】
オモリ80号
PE4号300m
ハリス3~4号 2〜3m 2〜3本針
✳︎アマダイ用オモリ 80号
⭕️各仕掛けとも
予備は多めにご用意ください
(朝 受付にも販売ございます)
釣り場と水深:
葉山沖一帯
40M~110M
海況:
水温:16.1度
潮色と流れ:澄み なし→澄み なし
風向きと強さ:-
波高:0-0.5M→0-0.5M
天候:晴れ→晴れ
0.3-1.0 kg 1-8 枚
朝と帰り…タイ五目
アマダイ
24-37 cm 0-3 枚
日中…アマダイ
船長コメント:
終日無風ベタナギ!波の高さ⇒ 0m
日差しも温かく 日中は上着を脱ぐ陽気でした♪
ポイント探りたい放題の海へ 6名様をご案内〜
●朝と帰り…タイ五目
●日中…アマダイ
タイ五目は 相変わらず澄み潮 流れ無し…と条件イマイチながらもご乗船の皆様 「細ハリス2号8m2本針」にて澄み潮対策もバッチリ(* ー̀ ֊ ー́ )و✧
マダイ・ハナダイ中心に魚影濃く♪ トップ8枚!6名様皆様 GET達成〜◎ 他に良型イサキも⤴︎︎
アマダイは潮流れ全く無く(^^; ポイント移動攻撃作戦!その甲斐あって ポツポツと釣果を伸ばし トップ3枚!ゲスト多彩にキダイ多数、カイワリ、カサゴ、ウマズラハギ、オニカサゴ0~2尾と楽しめました^^V
⭐️明日は次第に南西の風予報…
近場限定操業となりそうです。
今現在 ご予約4名様
✳️タイ五目&アマダイリレー仕掛け
【タイ五目】
ビシ FL&M 80号
クッションゴム2㎜1m
PE4号 300m
「マダイ五目」
ハリス2~3号 8m
1本~2本針
【アマダイ】
オモリ80号
PE4号300m
ハリス3~4号 2〜3m 2〜3本針
✳︎アマダイ用オモリ 80号
⭕️各仕掛けとも
予備は多めにご用意ください
(朝 受付にも販売ございます)
釣り場と水深:
葉山沖一帯
40M~110M
海況:
水温:16.1度
潮色と流れ:澄み なし→澄み なし
風向きと強さ:-
波高:0-0.5M→0-0.5M
天候:晴れ→晴れ
posted by 秀吉丸 at 16:12
| 釣果
2025年01月13日
posted by 秀吉丸 at 15:42
| 釣果
2025年01月13日
カワハギ
18-26 cm 1-6 枚
アマダイ
22-40 cm 0-7 匹
船長コメント:
本日もありがとうございました!
最高の凪日和でした♪
○前半…カワハギ
○後半…アマダイ
8名様で全員カワハギGETできました!
良型主体でリリースなし!
潮流れ今ひとつも平均3枚で食卓の1品にはなりそうでした!
アマダイは小型主体にはなってしまいましたが広範囲に散策!
凪だと攻めれていいですね笑
ポツポツと浮上!
後半は中型の35センチ前後のお手頃サイズがメインに釣れました!
TOP7尾!続いて4尾お一人様顔見れずでしたが何かしらお土産はGETできましたー!
引き続きお問い合わせお待ちしております!
凪日はチャンスですねー!
18-26 cm 1-6 枚
アマダイ
22-40 cm 0-7 匹
船長コメント:
本日もありがとうございました!
最高の凪日和でした♪
○前半…カワハギ
○後半…アマダイ
8名様で全員カワハギGETできました!
良型主体でリリースなし!
潮流れ今ひとつも平均3枚で食卓の1品にはなりそうでした!
アマダイは小型主体にはなってしまいましたが広範囲に散策!
凪だと攻めれていいですね笑
ポツポツと浮上!
後半は中型の35センチ前後のお手頃サイズがメインに釣れました!
TOP7尾!続いて4尾お一人様顔見れずでしたが何かしらお土産はGETできましたー!
引き続きお問い合わせお待ちしております!
凪日はチャンスですねー!
posted by 秀吉丸 at 15:35
| 釣果
2025年01月12日
マダイ・ハナダイ
0.3-1.0 kg 0-2 枚
朝と帰り…タイ五目
アマダイ
22-38 cm 0-4 枚
日中…アマダイ
船長コメント:
初挑戦のお客様にもご乗船頂き
13名様で出船させて頂きましたm(_ _)m
●朝と帰り…タイ五目
●日中…アマダイ
タイ五目は マダイ・ハナダイ中心に各ポイントとも 魚影見られるも 潮澄み流れなく 簡単には食いつきませんでしたが ポイント移動直後の魚達が油断してる隙にゲットを重ね マダイのみトップ2枚が数名様!ハナダイやメイチダイ、イサキにメジナ、大サバも混じりお土産に!
※太ハリス 夜行玉付き仕掛け…NGですよ〜
ハリス2~2.5号 有利です
アマダイは潮流れ適度に 本命ポツポツ浮上⤴︎︎
正味2時間少々ながらトップ4枚!(船中12枚)ゲストにキダイ多数、カイワリにカンパチもGET!
※生ホタルイカ餌持参も面白そうです♪
⭐️明日も通常出船 募集中です!
今現在 ご予約3名様 お座席余裕ございます♪
※朝は5時頃受付 その後 船に乗船!
お時間に余裕をもってご準備を始めてください。
✳️タイ五目&アマダイリレー仕掛け
【タイ五目】
ビシ FL&M 80号
クッションゴム2㎜1m
PE4号 300m
「マダイ五目」
ハリス3号 8m
1本~2本針
【アマダイ】
オモリ80号
PE4号300m
ハリス3~4号 2〜3m 2〜3本針
✳︎アマダイ用オモリ 80号
⭕️各仕掛けとも
予備は多めにご用意ください
(朝 受付にも販売ございます)
釣り場と水深:
葉山沖一帯
40M~110M
海況:
水温:16.1度
潮色と流れ:澄み なし→澄み ゆるい
風向きと強さ:北 ほどほど→北 弱い
波高:1.0-1.5M→0.5-1.0M
天候:曇り→曇り
0.3-1.0 kg 0-2 枚
朝と帰り…タイ五目
アマダイ
22-38 cm 0-4 枚
日中…アマダイ
船長コメント:
初挑戦のお客様にもご乗船頂き
13名様で出船させて頂きましたm(_ _)m
●朝と帰り…タイ五目
●日中…アマダイ
タイ五目は マダイ・ハナダイ中心に各ポイントとも 魚影見られるも 潮澄み流れなく 簡単には食いつきませんでしたが ポイント移動直後の魚達が油断してる隙にゲットを重ね マダイのみトップ2枚が数名様!ハナダイやメイチダイ、イサキにメジナ、大サバも混じりお土産に!
※太ハリス 夜行玉付き仕掛け…NGですよ〜
ハリス2~2.5号 有利です
アマダイは潮流れ適度に 本命ポツポツ浮上⤴︎︎
正味2時間少々ながらトップ4枚!(船中12枚)ゲストにキダイ多数、カイワリにカンパチもGET!
※生ホタルイカ餌持参も面白そうです♪
⭐️明日も通常出船 募集中です!
今現在 ご予約3名様 お座席余裕ございます♪
※朝は5時頃受付 その後 船に乗船!
お時間に余裕をもってご準備を始めてください。
✳️タイ五目&アマダイリレー仕掛け
【タイ五目】
ビシ FL&M 80号
クッションゴム2㎜1m
PE4号 300m
「マダイ五目」
ハリス3号 8m
1本~2本針
【アマダイ】
オモリ80号
PE4号300m
ハリス3~4号 2〜3m 2〜3本針
✳︎アマダイ用オモリ 80号
⭕️各仕掛けとも
予備は多めにご用意ください
(朝 受付にも販売ございます)
釣り場と水深:
葉山沖一帯
40M~110M
海況:
水温:16.1度
潮色と流れ:澄み なし→澄み ゆるい
風向きと強さ:北 ほどほど→北 弱い
波高:1.0-1.5M→0.5-1.0M
天候:曇り→曇り
posted by 秀吉丸 at 16:30
| 釣果
2025年01月12日
posted by 秀吉丸 at 16:27
| 釣果
2025年01月12日
2025年01月10日
マダイ・ハナダイ
0.3-1.1 kg 0-5 枚
前半…タイ五目
アマダイ
20-44 cm 1-3 枚
後半…アマダイ
船長コメント:
連日シケ模様の海で 今日はその風が少し弱まり
4名様にて出船! しかし 海上はまだ波が高く船は大きく揺れ 微速前進…ポイントも近場限定操業!
●前半…タイ五目
●後半…アマダイ
タイ五目は マダイ・ハナダイ主体にシケ前同様に魚影確認✓ 食いが浅くウネリもありバラシ多いもトップ5枚!他に良型イサキも登場⤴︎︎
アマダイは序盤ウネリで タナ取り苦戦も次第に海が落ち着き アタリ増え⤴︎︎ 良型サイズ目立ち 4名様全員キャッチ成功〜◎ 最大44cmも!ゲストに良型イトヨリ混じりました!
どちらもナギ回復次第にポイント広範囲に探り さらに魚種多彩に狙う予定です♪
★明日1/11(土)は
毎年恒例 新年祭礼行事で 休船。
⭐️明後日1/12(日)~通常出船 募集中です!!
✳️タイ五目&アマダイリレー仕掛け
【タイ五目】
ビシ FL&M 80号
クッションゴム2㎜1m
PE4号 300m
「マダイ五目」
ハリス3号 8m
1本~2本針
【アマダイ】
オモリ80号
PE4号300m
ハリス3~4号 2〜3m 2〜3本針
✳︎アマダイ用オモリ 80号
⭕️各仕掛けとも
予備は多めにご用意ください
(朝 受付にも販売ございます)
釣り場と水深:
葉山沖
40M~110M
海況:
水温:16.2度
潮色と流れ:薄濁 ゆるい→薄濁 ゆるい
風向きと強さ:西 強い→北西 ほどほど
波高:2.5-3.0M→1.0-1.5M
天候:晴れ→晴れ
0.3-1.1 kg 0-5 枚
前半…タイ五目
アマダイ
20-44 cm 1-3 枚
後半…アマダイ
船長コメント:
連日シケ模様の海で 今日はその風が少し弱まり
4名様にて出船! しかし 海上はまだ波が高く船は大きく揺れ 微速前進…ポイントも近場限定操業!
●前半…タイ五目
●後半…アマダイ
タイ五目は マダイ・ハナダイ主体にシケ前同様に魚影確認✓ 食いが浅くウネリもありバラシ多いもトップ5枚!他に良型イサキも登場⤴︎︎
アマダイは序盤ウネリで タナ取り苦戦も次第に海が落ち着き アタリ増え⤴︎︎ 良型サイズ目立ち 4名様全員キャッチ成功〜◎ 最大44cmも!ゲストに良型イトヨリ混じりました!
どちらもナギ回復次第にポイント広範囲に探り さらに魚種多彩に狙う予定です♪
★明日1/11(土)は
毎年恒例 新年祭礼行事で 休船。
⭐️明後日1/12(日)~通常出船 募集中です!!
✳️タイ五目&アマダイリレー仕掛け
【タイ五目】
ビシ FL&M 80号
クッションゴム2㎜1m
PE4号 300m
「マダイ五目」
ハリス3号 8m
1本~2本針
【アマダイ】
オモリ80号
PE4号300m
ハリス3~4号 2〜3m 2〜3本針
✳︎アマダイ用オモリ 80号
⭕️各仕掛けとも
予備は多めにご用意ください
(朝 受付にも販売ございます)
釣り場と水深:
葉山沖
40M~110M
海況:
水温:16.2度
潮色と流れ:薄濁 ゆるい→薄濁 ゆるい
風向きと強さ:西 強い→北西 ほどほど
波高:2.5-3.0M→1.0-1.5M
天候:晴れ→晴れ
posted by 秀吉丸 at 16:28
| 釣果
2025年01月10日
posted by 秀吉丸 at 15:29
| 釣果
2025年01月06日
マダイ ハナダイ クロダイ
0.3-1.8 kg 1-7 枚
朝と帰り…タイ五目
アマダイ
21-51 cm 0-2 枚
日中…アマダイ
船長コメント:
本日 高級魚揃いの【爆釣‼️】
百聞は一見にしかず!
釣果写真をご覧ください(o´罒`o)
お正月休みもひと段落し 6名様で出船〜
「天候薄曇り・風弱く終日ベタナギ」
どー見てもチャンスday♪♪♪
潮は澄み 潮流れ無く…決してパーフェクトな条件ではありませんでしたが 警戒心緩み 魚達はポツポツと口を使い〜 6名様全員 「鯛」をゲット成功◎
アマダイは数こそ伸びませんでしたが
今日も特大サイズ『51cm』浮上⤴︎︎‼️
他にキダイ(入れ食い)オニカサゴも混じりました♪ 時間があればまだまだ期待◎
★澄み潮なのでマダイ仕掛け(8m)は
『細仕掛け』が有利です
〇2号・3号と各種ご準備願います!
⭐️明日から海上シケ予報です(×_×)
またナギ復活次第 募集致します!
最新の風予報を要チェック✅
仕掛け等 釣り具の準備万端に
次回のチャンスに期待です♪
釣り場と水深:
葉山沖一帯
40M~110M
海況:
水温:17.3度
潮色と流れ:澄み なし→澄み なし
風向きと強さ:北 弱い→北 弱い
波高:0-0.5M→0-0.5M
天候:曇り→雨
0.3-1.8 kg 1-7 枚
朝と帰り…タイ五目
アマダイ
21-51 cm 0-2 枚
日中…アマダイ
船長コメント:
本日 高級魚揃いの【爆釣‼️】
百聞は一見にしかず!
釣果写真をご覧ください(o´罒`o)
お正月休みもひと段落し 6名様で出船〜
「天候薄曇り・風弱く終日ベタナギ」
どー見てもチャンスday♪♪♪
潮は澄み 潮流れ無く…決してパーフェクトな条件ではありませんでしたが 警戒心緩み 魚達はポツポツと口を使い〜 6名様全員 「鯛」をゲット成功◎
アマダイは数こそ伸びませんでしたが
今日も特大サイズ『51cm』浮上⤴︎︎‼️
他にキダイ(入れ食い)オニカサゴも混じりました♪ 時間があればまだまだ期待◎
★澄み潮なのでマダイ仕掛け(8m)は
『細仕掛け』が有利です
〇2号・3号と各種ご準備願います!
⭐️明日から海上シケ予報です(×_×)
またナギ復活次第 募集致します!
最新の風予報を要チェック✅
仕掛け等 釣り具の準備万端に
次回のチャンスに期待です♪
釣り場と水深:
葉山沖一帯
40M~110M
海況:
水温:17.3度
潮色と流れ:澄み なし→澄み なし
風向きと強さ:北 弱い→北 弱い
波高:0-0.5M→0-0.5M
天候:曇り→雨
posted by 秀吉丸 at 16:18
| 釣果
2025年01月05日
マダイ・ハナダイ
0.3-1.5 kg 0-3 枚
前半…タイ五目 魚種多彩!
アマダイ
24-50 cm 0-4 枚
後半…アマダイ
船長コメント:
今日も大勢のお客様にご乗船頂き感謝です!
海上風弱く〜絶好の釣り日和♪
もちろん ポイント広範囲に探ってきましたよー
٩( 'ω' )و
●前半…タイ五目
●後半…アマダイ
タイ五目はマダイ最大1.5kg!ハナダイも多数混じりトップ3枚2名様 他に良型メジナ0~4枚、良型イサキ、良型メイチダイにサバも⤴︎︎ トップの方は『細ハリス2号』にて◎ 澄み潮対策を是非!
アマダイは今日も良型中心に好調堅持( ´∀`)b
最大50cm‼️他にも44cmや40cmオーバー、30cmオーバー多数と型揃い♪ 正味2時間半ながら トップ4枚(船中14枚)にキダイ多数にカイワリも混じり釣果十分!!
⭐️
お正月休みも終わり 明日から空席多数です⭕️
魚達も油断するチャンスdayです♪
来週水曜日~金曜日頃までシケ予報なので
ナギのうちに是非 釣行計画を ԅ(¯Д¯ԅ)
※駐車場も空くので
朝は5時半頃までに入庫出来ればOKです!
釣り場と水深:
葉山沖一帯
40M~110M
海況:
水温:17.0度
潮色と流れ:澄み ゆるい→澄み ゆるい
風向きと強さ:北 弱い
波高:0-0.5M→0-0.5M
天候:晴れ→晴れ
0.3-1.5 kg 0-3 枚
前半…タイ五目 魚種多彩!
アマダイ
24-50 cm 0-4 枚
後半…アマダイ
船長コメント:
今日も大勢のお客様にご乗船頂き感謝です!
海上風弱く〜絶好の釣り日和♪
もちろん ポイント広範囲に探ってきましたよー
٩( 'ω' )و
●前半…タイ五目
●後半…アマダイ
タイ五目はマダイ最大1.5kg!ハナダイも多数混じりトップ3枚2名様 他に良型メジナ0~4枚、良型イサキ、良型メイチダイにサバも⤴︎︎ トップの方は『細ハリス2号』にて◎ 澄み潮対策を是非!
アマダイは今日も良型中心に好調堅持( ´∀`)b
最大50cm‼️他にも44cmや40cmオーバー、30cmオーバー多数と型揃い♪ 正味2時間半ながら トップ4枚(船中14枚)にキダイ多数にカイワリも混じり釣果十分!!
⭐️
お正月休みも終わり 明日から空席多数です⭕️
魚達も油断するチャンスdayです♪
来週水曜日~金曜日頃までシケ予報なので
ナギのうちに是非 釣行計画を ԅ(¯Д¯ԅ)
※駐車場も空くので
朝は5時半頃までに入庫出来ればOKです!
釣り場と水深:
葉山沖一帯
40M~110M
海況:
水温:17.0度
潮色と流れ:澄み ゆるい→澄み ゆるい
風向きと強さ:北 弱い
波高:0-0.5M→0-0.5M
天候:晴れ→晴れ
posted by 秀吉丸 at 17:22
| 釣果
2025年01月05日
2025年01月05日
カワハギ
16-27 cm 2-11 枚
6名で34枚と好調!
アマダイ
22-40 cm 1-4 匹
外道少なくアマダイ主体に浮上!
船長コメント:
本日もありがとうございました!
○前半…カワハギ
○後半…アマダイ
カワハギは流れ程よくポツポツと空の流しなく釣れました!
久々に釣れたーって感じで全員顔見れました!
とは言え難しそうな感じではありました。
ピカピカオモリが効果ありか?
餌は終始取られてる感じありましたよー!
坊主なく、TOP11枚、9枚、5枚と半日ながらNICEな釣果でした!
アマダイも潮流れありでしたが、思ったより当たりが少ない!
移動してみると今度は流れがない。
模索しているとなんとかポツポツと顔見れる流し何回かできて最大40㎝、TOP4尾、3尾と気付けば全員顔見れてました!
凪日はまだまだ楽しめそうです!
明日からはご予約なく、、、
予報も週明けから怪しいですね( ; ; )
また凪日を狙って是非!
ヤリイカも宜しくお願いしまーす♪
出番あればなんでも行きますので引き続き宜しくお願い致します!
※1枚目はお二人分の釣果です!
16-27 cm 2-11 枚
6名で34枚と好調!
アマダイ
22-40 cm 1-4 匹
外道少なくアマダイ主体に浮上!
船長コメント:
本日もありがとうございました!
○前半…カワハギ
○後半…アマダイ
カワハギは流れ程よくポツポツと空の流しなく釣れました!
久々に釣れたーって感じで全員顔見れました!
とは言え難しそうな感じではありました。
ピカピカオモリが効果ありか?
餌は終始取られてる感じありましたよー!
坊主なく、TOP11枚、9枚、5枚と半日ながらNICEな釣果でした!
アマダイも潮流れありでしたが、思ったより当たりが少ない!
移動してみると今度は流れがない。
模索しているとなんとかポツポツと顔見れる流し何回かできて最大40㎝、TOP4尾、3尾と気付けば全員顔見れてました!
凪日はまだまだ楽しめそうです!
明日からはご予約なく、、、
予報も週明けから怪しいですね( ; ; )
また凪日を狙って是非!
ヤリイカも宜しくお願いしまーす♪
出番あればなんでも行きますので引き続き宜しくお願い致します!
※1枚目はお二人分の釣果です!
posted by 秀吉丸 at 15:58
| 釣果
2025年01月04日
マダイ・ハナダイ
0.3-0.5 kg 0-1 枚
前半…タイ五目 魚種多彩!
アマダイ
24-43 cm 0-5 枚
後半…アマダイ 良型中心!
船長コメント:
15名様と今日も大勢のお客様にご乗船頂き
誠にありがとうございましたm(_ _)m
昼過ぎまで北風強めに…風裏漁場で操業!
●前半…タイ五目
●後半…アマダイ
タイ五目はマダイ・ハナダイ主体に魚影濃いも警戒心強く食い渋り…千載一遇で2kg級マダイ浮上もオマツリで水面バラシ⤵︎ ︎と苦戦スタート。。その後 強風下 出来る範囲でポイント探索し、良型イサキ!大型メジナ!大型メイチダイに大サバ、巨大ウマズラハギと混じるゲストは良型主体にアタリ楽しめ お土産に( ´∀`)b
※澄み潮対策に
『夜行玉無し』『細ハリス』オススメです!
アマダイへシフトチェンジすると 潮流れ適度に本命アマダイ良型中心(35cm~40cm級)にポツポツと最後の1投目まで釣れ上がり⤴︎︎ 正味2時半ながらトップ5枚!! 【船中18枚】と絶好釣〜♪ ゲストにキダイ、イトヨリ、カイワリも!
⭐️明日は北風も落ち着きナギ予報〜⭕️
すでに満席に近いご予約を承っております!
※仕掛けの予備は多めにご用意ください
※年末年始は無料駐車場混雑致します
朝は5時までに入庫をオススメしております。
✳️タイ五目&アマダイリレー仕掛け
【タイ五目】
ビシ FL&M 80号
クッションゴム2㎜1m
PE4号 300m
「マダイ五目」
ハリス3号 8m
1本~2本針
【アマダイ】
オモリ80号
PE4号300m
ハリス3~4号 2〜3m 2〜3本針
✳︎アマダイ用オモリ 80号
⭕️各仕掛けとも
予備は多めにご用意ください
(朝 受付にも販売ございます)
釣り場と水深:
葉山沖一帯
40M~110M
海況:
水温:17.1度
潮色と流れ:澄み なし→澄み ゆるい
風向きと強さ:北 強い→北 弱い
波高:1.0-1.5M→0-0.5M
天候:曇り→晴れ
0.3-0.5 kg 0-1 枚
前半…タイ五目 魚種多彩!
アマダイ
24-43 cm 0-5 枚
後半…アマダイ 良型中心!
船長コメント:
15名様と今日も大勢のお客様にご乗船頂き
誠にありがとうございましたm(_ _)m
昼過ぎまで北風強めに…風裏漁場で操業!
●前半…タイ五目
●後半…アマダイ
タイ五目はマダイ・ハナダイ主体に魚影濃いも警戒心強く食い渋り…千載一遇で2kg級マダイ浮上もオマツリで水面バラシ⤵︎ ︎と苦戦スタート。。その後 強風下 出来る範囲でポイント探索し、良型イサキ!大型メジナ!大型メイチダイに大サバ、巨大ウマズラハギと混じるゲストは良型主体にアタリ楽しめ お土産に( ´∀`)b
※澄み潮対策に
『夜行玉無し』『細ハリス』オススメです!
アマダイへシフトチェンジすると 潮流れ適度に本命アマダイ良型中心(35cm~40cm級)にポツポツと最後の1投目まで釣れ上がり⤴︎︎ 正味2時半ながらトップ5枚!! 【船中18枚】と絶好釣〜♪ ゲストにキダイ、イトヨリ、カイワリも!
⭐️明日は北風も落ち着きナギ予報〜⭕️
すでに満席に近いご予約を承っております!
※仕掛けの予備は多めにご用意ください
※年末年始は無料駐車場混雑致します
朝は5時までに入庫をオススメしております。
✳️タイ五目&アマダイリレー仕掛け
【タイ五目】
ビシ FL&M 80号
クッションゴム2㎜1m
PE4号 300m
「マダイ五目」
ハリス3号 8m
1本~2本針
【アマダイ】
オモリ80号
PE4号300m
ハリス3~4号 2〜3m 2〜3本針
✳︎アマダイ用オモリ 80号
⭕️各仕掛けとも
予備は多めにご用意ください
(朝 受付にも販売ございます)
釣り場と水深:
葉山沖一帯
40M~110M
海況:
水温:17.1度
潮色と流れ:澄み なし→澄み ゆるい
風向きと強さ:北 強い→北 弱い
波高:1.0-1.5M→0-0.5M
天候:曇り→晴れ
posted by 秀吉丸 at 16:23
| 釣果
2025年01月04日
posted by 秀吉丸 at 15:55
| 釣果
2025年01月04日
posted by 秀吉丸 at 15:54
| 釣果
2025年01月03日
posted by 秀吉丸 at 18:45
| 釣果
2025年01月03日
マダイ・ハナダイ
0.3-1.2 kg 0-3 枚
前半…タイ五目
アマダイ
22-40 cm 0-2 枚
後半…アマダイ
船長コメント:
連日【満員御礼】
ご乗船ありがとうございますm(_ _)m
幸い今日は風弱く〜
ポイント広範囲に探れ魚種多彩にGET成功◎
やっぱりナギが一番ですね♪
●前半…タイ五目
●後半…アマダイ
タイ五目(マダイ・ハナダイ・良型イサキ・メジナ・ウマズラハギ等)は澄み潮で魚達は警戒心MAX!夜行玉や金針、太ハリス等 派手な仕掛けはアタリ少なく、逆に細ハリスや針の色までこだわった仕掛けを駆使したお客様に軍配⤴︎︎ 竿頭Y様 食い渋りの中 魚種多彩にGETはお見事でした(๑•̀ •́)و✧
アマダイは風弱く〜今日は遠方漁場までGOーっ!!
二枚潮で船内オマツリ多発で苦戦ながら 仕掛けが降りれば何かしらアタリ活発!!ほぼ入れ食い〜♪ 本命アマダイは船中7枚(トップ2枚)も、キダイ多数、良型カイワリ、サバにキントキダイまで登場⤴︎︎ 今後も風が穏やかな日和には遠方漁場へご案内致します!
⭐️明日は北風強く近場(風裏)漁場へ!
明日も満員御礼【16名様】ご予約締切m(_ _)m
~仕掛けの予備~
〇タイ五目
(マダイ仕掛け)…最低でも5袋(10組)
〇アマダイ…最低でも4袋(8組)
ご準備お願い致します!
針を縛れる方は
『マダイ針9号』お忘れなくー
⭕️年末年始は無料駐車場が混雑します
朝は5時までに入庫をオススメしております!
満車の場合は有料駐車場へ。
✳️タイ五目&アマダイリレー仕掛け
【タイ五目】
ビシ FL&M 80号
クッションゴム2㎜1m
PE4号 300m
「マダイ五目」
ハリス3号 8m
1本~2本針
【アマダイ】
オモリ80号
PE4号300m
ハリス3~4号 2〜3m 2〜3本針
✳︎アマダイ用オモリ 80号
⭕️各仕掛けとも
予備は多めにご用意ください
(朝 受付にも販売ございます)
釣り場と水深:
葉山沖周辺
40M~110M
海況:
水温:17.2度
潮色と流れ:澄み なし→澄み ゆるい
風向きと強さ:北 弱い→北 ほどほど
波高:0.5-1.0M→1.0-1.5M
天候:曇り→晴れ
0.3-1.2 kg 0-3 枚
前半…タイ五目
アマダイ
22-40 cm 0-2 枚
後半…アマダイ
船長コメント:
連日【満員御礼】
ご乗船ありがとうございますm(_ _)m
幸い今日は風弱く〜
ポイント広範囲に探れ魚種多彩にGET成功◎
やっぱりナギが一番ですね♪
●前半…タイ五目
●後半…アマダイ
タイ五目(マダイ・ハナダイ・良型イサキ・メジナ・ウマズラハギ等)は澄み潮で魚達は警戒心MAX!夜行玉や金針、太ハリス等 派手な仕掛けはアタリ少なく、逆に細ハリスや針の色までこだわった仕掛けを駆使したお客様に軍配⤴︎︎ 竿頭Y様 食い渋りの中 魚種多彩にGETはお見事でした(๑•̀ •́)و✧
アマダイは風弱く〜今日は遠方漁場までGOーっ!!
二枚潮で船内オマツリ多発で苦戦ながら 仕掛けが降りれば何かしらアタリ活発!!ほぼ入れ食い〜♪ 本命アマダイは船中7枚(トップ2枚)も、キダイ多数、良型カイワリ、サバにキントキダイまで登場⤴︎︎ 今後も風が穏やかな日和には遠方漁場へご案内致します!
⭐️明日は北風強く近場(風裏)漁場へ!
明日も満員御礼【16名様】ご予約締切m(_ _)m
~仕掛けの予備~
〇タイ五目
(マダイ仕掛け)…最低でも5袋(10組)
〇アマダイ…最低でも4袋(8組)
ご準備お願い致します!
針を縛れる方は
『マダイ針9号』お忘れなくー
⭕️年末年始は無料駐車場が混雑します
朝は5時までに入庫をオススメしております!
満車の場合は有料駐車場へ。
✳️タイ五目&アマダイリレー仕掛け
【タイ五目】
ビシ FL&M 80号
クッションゴム2㎜1m
PE4号 300m
「マダイ五目」
ハリス3号 8m
1本~2本針
【アマダイ】
オモリ80号
PE4号300m
ハリス3~4号 2〜3m 2〜3本針
✳︎アマダイ用オモリ 80号
⭕️各仕掛けとも
予備は多めにご用意ください
(朝 受付にも販売ございます)
釣り場と水深:
葉山沖周辺
40M~110M
海況:
水温:17.2度
潮色と流れ:澄み なし→澄み ゆるい
風向きと強さ:北 弱い→北 ほどほど
波高:0.5-1.0M→1.0-1.5M
天候:曇り→晴れ
posted by 秀吉丸 at 16:24
| 釣果
2025年01月03日
2025年01月03日
posted by 秀吉丸 at 16:02
| 釣果
2025年01月02日
マダイ・ハナダイ
0.3-0.6 kg 0-4 枚
前半…タイ五目
アマダイ
24-38 cm 0-4 枚
後半…アマダイ
船長コメント:
。゚+.謹賀新年゚+.゚2025
明けましておめでとうございます!
今年も【海上安全を最優先】に!
分かりやすく釣り方の説明 や 海の中の様子等
皆様に楽しく一日を過ごして頂くべく 沖へご案内させて頂きますm(*_ _)m よろしくお願いいたします!
初出船の今日は絶好のナギに恵まれ♪
満席16名様にご乗船頂き
ポイント広範囲に探ってきました〜
●前半…タイ五目
●後半…アマダイ
タイ五目はマダイ・ハナダイ主体に狙い 澄み潮で魚達は警戒してましたが 半数以上のお客様がキャッチ成功〜 トップのk様は澄み潮対策で細ハリスで仕掛けを工夫し魚種多彩にGETにてお見事でした⤴︎︎ ^^V
ゲストにメジナ、良型イサキ、オオモンハタ等
アマダイは潮流れ少ないも マメな誘いと手返しで船中「12枚」浮上⤴︎︎ トップ4枚!! ゲストも多彩にカイワリ、キダイ、ホウボウ、イトヨリ、サバ、アラにマトウダイも!
⭐️明日もすでに16名様満席にて
受付締切m(_ _)m
※仕掛けの予備は多めにご用意ください
※年末年始、無料駐車場は混雑するので
5時までには入庫をお願いいたします!
✳️タイ五目&アマダイリレー仕掛け
【タイ五目】
ビシ FL&M 80号
クッションゴム2㎜1m
PE4号 300m
「マダイ五目」
ハリス3号 8m
1本~2本針
【アマダイ】
オモリ80号
PE4号300m
ハリス3~4号 2〜3m 2〜3本針
✳︎アマダイ用オモリ 80号
⭕️各仕掛けとも
予備は多めにご用意ください
(朝 受付にも販売ございます)
釣り場と水深:
葉山沖一帯
40M~110M
海況:
水温:17.5度
潮色と流れ:澄み なし→澄み ゆるい
風向きと強さ:北 弱い→北 弱い
波高:0.5-1.0M→0.5-1.0M
天候:晴れ→曇り
0.3-0.6 kg 0-4 枚
前半…タイ五目
アマダイ
24-38 cm 0-4 枚
後半…アマダイ
船長コメント:
。゚+.謹賀新年゚+.゚2025
明けましておめでとうございます!
今年も【海上安全を最優先】に!
分かりやすく釣り方の説明 や 海の中の様子等
皆様に楽しく一日を過ごして頂くべく 沖へご案内させて頂きますm(*_ _)m よろしくお願いいたします!
初出船の今日は絶好のナギに恵まれ♪
満席16名様にご乗船頂き
ポイント広範囲に探ってきました〜
●前半…タイ五目
●後半…アマダイ
タイ五目はマダイ・ハナダイ主体に狙い 澄み潮で魚達は警戒してましたが 半数以上のお客様がキャッチ成功〜 トップのk様は澄み潮対策で細ハリスで仕掛けを工夫し魚種多彩にGETにてお見事でした⤴︎︎ ^^V
ゲストにメジナ、良型イサキ、オオモンハタ等
アマダイは潮流れ少ないも マメな誘いと手返しで船中「12枚」浮上⤴︎︎ トップ4枚!! ゲストも多彩にカイワリ、キダイ、ホウボウ、イトヨリ、サバ、アラにマトウダイも!
⭐️明日もすでに16名様満席にて
受付締切m(_ _)m
※仕掛けの予備は多めにご用意ください
※年末年始、無料駐車場は混雑するので
5時までには入庫をお願いいたします!
✳️タイ五目&アマダイリレー仕掛け
【タイ五目】
ビシ FL&M 80号
クッションゴム2㎜1m
PE4号 300m
「マダイ五目」
ハリス3号 8m
1本~2本針
【アマダイ】
オモリ80号
PE4号300m
ハリス3~4号 2〜3m 2〜3本針
✳︎アマダイ用オモリ 80号
⭕️各仕掛けとも
予備は多めにご用意ください
(朝 受付にも販売ございます)
釣り場と水深:
葉山沖一帯
40M~110M
海況:
水温:17.5度
潮色と流れ:澄み なし→澄み ゆるい
風向きと強さ:北 弱い→北 弱い
波高:0.5-1.0M→0.5-1.0M
天候:晴れ→曇り
posted by 秀吉丸 at 16:28
| 釣果
2025年01月02日
カワハギ
15-29 cm 0-4 枚
アマダイ
22-49 cm 0-3 匹
船長コメント:
本日もありがとうございました!
無事に2025年度スタートできました!
ありがとうございますm(__)m
前半…カワハギ
後半…アマダイ
一投目から本命カワハギゲッチュ!
本年度の1stフィッシュとなりました〜♪
TOP4枚、最大29センチも上がりお二人顔見れませんでしたが、9割の方顔見れました!
急ぎ足でアマダイへリレー!
中型主体にポツポツと顔見れる流しあって
デカアマ49㎝、47㎝、40㎝と良型も上がりました!
年始は例年通り14時に帰港になるので少し早めの納竿となりました!
明日はガラガラで出船確定です!
引き続きお問い合わせお待ちしております!
15-29 cm 0-4 枚
アマダイ
22-49 cm 0-3 匹
船長コメント:
本日もありがとうございました!
無事に2025年度スタートできました!
ありがとうございますm(__)m
前半…カワハギ
後半…アマダイ
一投目から本命カワハギゲッチュ!
本年度の1stフィッシュとなりました〜♪
TOP4枚、最大29センチも上がりお二人顔見れませんでしたが、9割の方顔見れました!
急ぎ足でアマダイへリレー!
中型主体にポツポツと顔見れる流しあって
デカアマ49㎝、47㎝、40㎝と良型も上がりました!
年始は例年通り14時に帰港になるので少し早めの納竿となりました!
明日はガラガラで出船確定です!
引き続きお問い合わせお待ちしております!
posted by 秀吉丸 at 15:47
| 釣果
2025年01月02日
posted by 秀吉丸 at 14:43
| 釣果













































































































































































































































































































































